Notice of Intent to Sell - Part of Henrietta St Road Allowance
Correction to Public Notice: Please be advised that written comments are due by Wednesday, February 12th, 2025.
Attn: Property Owner:
-Public Notice-
Notice of Intent to Dispose of Surplus Lands
“Disposal for Offered Price Plus Expenses”
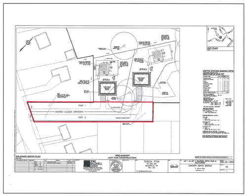
TAKE NOTICE that the Council of the Corporation of the Township of South-West Oxford has, pursuant to Sections 270 (1) 1, as applicable, of the Municipal Act, 2001, as amended will declare the following land as surplus and will be considering the sale of the lands to Teresa Ptak, for a price of $58,344.00 (2025 rate) (pending confirmation by survey) plus all applicable surveying and legal costs associated with the sale to be paid by the purchaser:
· Part of Henrietta St PL 75 BTN Raglan St & Head St; South-West Oxford (PIN 0001420137 – multi-part) Beachville (outlined in red)

The Council of the Township of South-West Oxford will give final consideration to the proposed sale at its regular Council meeting to be held on the 18th day of February, 2025 at 7:00 p.m. The meeting will take place at the Municipal Office – Council Chamber located at 312915 Dereham Line, Mount Elgin, ON, N0J 1N0. Written comments with respect to the proposed sale may be provided to the Township Clerk at the address below, by Wednesday, February 12th, 2025 at 4:30 p.m.
Julie Middleton, Clerk
Township of South-West Oxford
312915 Dereham Line
Mt. Elgin, ON N0J 1N0
Tel: 519-485-0477 ext. 7023